Blog
October 22, 2025 By Paige Adams, DVM Keeping your cat indoors is one of the best ways to protect them from dangers like traffic, predators, and disease. However, indoor …
September 15, 2025 By Paige Adams, DVM Losing a beloved pet is one of the most challenging experiences any pet owner will face. The love and connection shared with …
August 11, 2025 By Paige Adams, DVM If you’ve ever struggled to coax your pet into the car for a vet visit—or sat in the waiting room with a …
June 29, 2025 By Paige Adams, DVM The Fourth of July is a time for celebration—cookouts, fireworks, and family fun. But for our four-legged friends, this holiday can be …
June 17, 2025 By Paige Adams, DVM There are so many vaccines out there for pets these days, what are they all about and which ones does your pet …
May 15, 2025 By Paige Adams, DVM May is Mental Health Awareness Month—a time to speak up, share stories, and shine a light into the places we often keep …
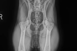
April 20, 2025 By Paige Adams, DVM Hip Dysplasia is an abnormal formation of the hip socket that can cause osteoarthritis of the joints which leads to pain and …
Mar. 1, 2025 By Paige Adams, DVM What is Spaying? Spaying is a surgical procedure performed to remove the ovaries and all or part of the uterus of female …
Jan. 8, 2025 By Paige Adams, DVM Pets are more than just animals; they’re beloved members of our families. We share our homes, hearts, and lives with them. But …
Dec 8, 2024 By Paige Adams, DVM The holiday season is a time of joy, celebration, and togetherness. However, it can also bring unique risks for our furry friends. …